Bought with Rachel Hollers
For more information regarding the value of a property, please contact us for a free consultation.
0 Vac/Vic Avenue Y8/187 Ste Llano, CA 93544
Want to know what your home might be worth? Contact us for a FREE valuation!

Our team is ready to help you sell your home for the highest possible price ASAP
Key Details
Sold Price $46,000
Property Type Vacant Land
Sub Type Other Residential Land
Listing Status Sold
Purchase Type For Sale
MLS Listing ID CRSR23032853
Sold Date 04/21/23
Lot Size 20.113 Acres
Property Sub-Type Other Residential Land
Source California Regional MLS
Property Description
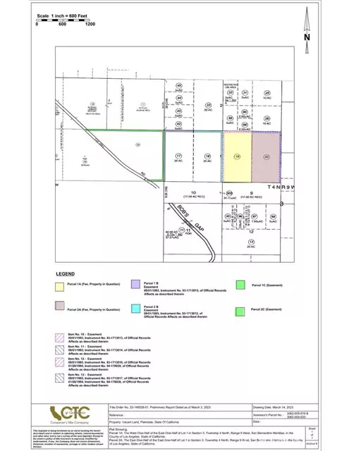
Seller is selling parcel 3062-005-020 in conjunction with 019. An opportunity to own 40 Acres for only $47,998. There is legal access from N. Bob Gap RD. In addition, these parcels have a certificate of compliance. Buyer to verify and satisfy themselves regarding all aspects pertaining to subject property.
Location
State CA
County Los Angeles
Area Llo - Llano
Zoning D5,LSR
Exterior
View Valley
Others
Tax ID 3062005019
Special Listing Condition Not Applicable
Read Less

© 2025 MLSListings Inc. All rights reserved.
GET MORE INFORMATION



