Bought with KRISTI GREENLEE
For more information regarding the value of a property, please contact us for a free consultation.
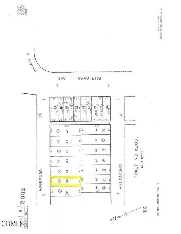
64 W Mariposa ST Altadena, CA 91001
Want to know what your home might be worth? Contact us for a FREE valuation!

Our team is ready to help you sell your home for the highest possible price ASAP
Key Details
Sold Price $435,000
Property Type Vacant Land
Sub Type Other Residential Land
Listing Status Sold
Purchase Type For Sale
MLS Listing ID CRP1-22766
Sold Date 12/05/25
Lot Size 5,983 Sqft
Property Sub-Type Other Residential Land
Source California Regional MLS
Property Description
Located just west of Fair Oaks Avenue, this lot presents an excellent opportunity to construct a new home on a flat parcel measuring 5,983 square feet. According to public records, it was previously home to a 720 square foot residence featuring 2 bedrooms and 1 bathroom. The property is in close proximity to local trails and parks including Charles Farnsworth Park, which offers amenities such as pickleball, tennis, and more. Both phases I and II of the property cleanup and debris removal are now complete. Buyers should independently verify all zoning, permitting and rebuilding requirements with Los Angeles County and verify status of utilities with local providers. Buyers are responsible for conducting their own investigations to satisfy themselves regarding future development, ability to add units, required lot size, environmental toxicity, community and neighborhood designation, zoning and taxes. Call for more information.
Location
State CA
County Los Angeles
Area 604 - Altadena
Zoning LL,SPKN
Exterior
Fence Chain Link
Utilities Available Electricity - On Site
View None
Building
Lot Description Grade - Level
Water District - Public
Others
Tax ID 5835006024
Special Listing Condition Not Applicable
Read Less

© 2025 MLSListings Inc. All rights reserved.
GET MORE INFORMATION




